发烧论坛

注册

 

发新话题 回复该主题

杂谈SACD 片源优劣的识别 (28楼) [复制链接]

查看: 11449|回复: 29
21#

歌林版 小城故事刚每首听了一点点,一、二两首高频有点过提升;三~八首应该是LP唱片转录,音质一般(或许那个版本的录音原因,我以前买过一些邓的黑胶也是声音不佳),最后三首好些,由于中午未有开大音量与其它版本对比试听。多谢楼主分享,再来多点好东西。
最后编辑南海十三郎 最后编辑于 2013-08-08 14:04:52
TOP
22#

回复 21# 南海十三郎 的帖子

还是南海兄厉害!
玩的是乐趣 享受的是音乐。
TOP
23#

回复 1# truemusic 的帖子

感谢楼主

我最近再折腾sacd ripper
还没成功。
有谁指点一下,保证rip一套福特文格勒相送
TOP
24#

回复 23# okcb2013 的帖子

还有emi出的杜普蕾 李赫特 卡萨尔斯都很好,一点到没有味精
TOP
25#

回复 24# okcb2013 的帖子

感谢
详见短信
玩的是乐趣 享受的是音乐。
TOP
26#

顶顶南海十三郎
TOP
27#

原帖由 truemusic 于 2013-8-8 8:34:00 发表
目前SACD片源鱼龙混杂,这正是试一些初接触者一叶障目的原因。
目前SACD大致分三类:
1.直接DSD录音编码的。这类以新兴的唱片公司居多,如Linn、EXTON、MDG等
2.老模拟母带或PCM数字母带转码的。如RCA、TELARC、TACET等
3.CD升频的。
前两者音质有保证,值得保留。最后一种和CD升频无异,而且这类唱片不在少数,人声居多.。如何分辨下回分解。


下回还没有分解,等着。
http://coplysh2000.blog.163.com/blog/#m=0
过程就是乐趣 乐趣就是过程
TOP
28#

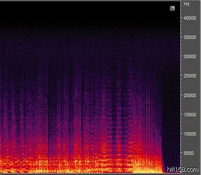
片源优劣的识别

正确识别片源的性质还是要看频谱。音频文件可以相互转换封装格,比如mp3转成CD格式,CD格式文件升频到高采样文件格式,但转换后这些音频文件频谱的峰值不会改变。目前我还没找到直接显示DSD文件频谱的软件,但将DSD文件转换成高采样PCM文件一样可以反映其真实的频谱。

这是DSD录音或母带转制的SACD频谱。可以看到频谱在高频部分是自然向上延伸的。

这是一些我怀疑是CD转制SACD文件的频谱。可以看到频谱在22.05KHz处是一刀切的。这和CD格式的频谱是一样的!这样的SACD和同版本CD升频播放的回放效果是一样。也证明了我的判断。为什么说是这种SACD是CD升频得到的呢。主要是频谱峰值一样,但比特率提高了,和CD升频的性质一样。
玩的是乐趣 享受的是音乐。
TOP
29#

残废了是不可能复原的,对于老录音来说,还是该听什么就听什么吧
留声机脑壳淘宝黑胶唱片店http://shop102175991.taobao.com/
网络室内设计http://www.shejiben.com/sjs/1126466/case/
TOP
30#

回复 5# truemusic 的帖子

我也用这个,哈哈
TOP
发新话题 回复该主题